Miami, Oct 29:
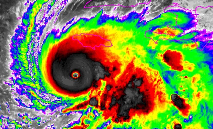
Hurricane Melissa, one of the most powerful storms to strike the U.S. this decade, slammed into Florida’s western coastline early Wednesday with sustained winds of 220 km/h, flattening homes, uprooting trees, and plunging 1.5 million residents into darkness.
Governor Ron DeSantis declared a state of emergency in five counties, urging residents to stay indoors as emergency responders race to restore power and rescue stranded families.
“This is not over — flooding and storm surges will continue for 48 hours,” warned FEMA Chief Deanne Criswell during a morning briefing.
Impact and Response
St. Petersburg and Tampa Bay bore the brunt of the storm. Floodwaters submerged highways, while Miami International Airport suspended all flights. At least seven deaths were reported as of noon, mostly from falling debris and electrocution.
The National Hurricane Center (NHC) classified Melissa as a Category 4 storm, with a central pressure of 930 mb — comparable to Hurricane Ian in 2022.
Economic Toll
Preliminary estimates suggest damage exceeding $12 billion, largely in infrastructure and insurance claims. Power utility Florida Light & Power said full restoration could take “five to six days.”
U.S. President Donald Trump (in his second term) announced emergency federal aid and deployed 5,000 National Guard troops for recovery operations.
Highlights
Hurricane Melissa landfall: 220 km/h winds
1.5 million without electricity
$12 billion in estimated losses
Emergency declared across Florida















